Grundstückskauf: Kanal-Tiefe prüfen – Bebaubarkeit, Anschluss & Kosten vorab klären?
BAU-Forum: Bauplanung / Baugenehmigung
Grundstückskauf: Kanal-Tiefe prüfen – Bebaubarkeit, Anschluss & Kosten vorab klären?
ich stehe wirklich ganz am Anfang der Bauplanung und hätte gerne einen Expertenrat.
Ich habe mir ein Grundstück ausgesucht, auf dem ich gerne eine Einfamilienhaus bauen möchte. Das Grundstück habe ich allerdings noch nicht gekauft und bevor ich dies tue, wäre mir wichtig zu wissen, ob der Abwasserkanal überhaupt tief genug ist, damit ich mein Vorhaben realisieren kann.
Vielleicht mal zu den "Randbedingungen". Das Haus soll später ca. 20 m von der Grundstücksgrenze entfernt gebaut werden. In 20 m Entfernung ist also später auch die Oberkante Kellerdecke. Das Grundstück verläuft bis dorthin fast waagerecht.
Nun habe ich von den Wasserwerken einen Lageplan bekommen, auf dem der Kanal eingezeichnet wurde. Leider kann ich als Laie aber damit wenig anfangen.
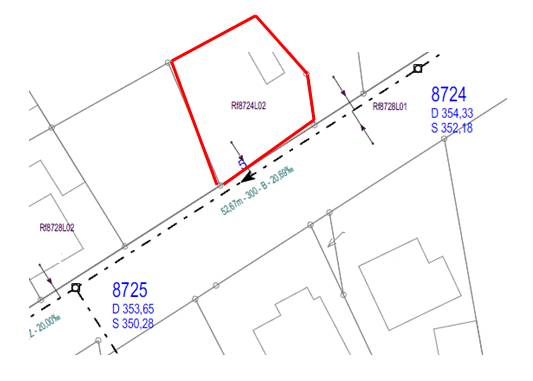
Und da kommen jetzt die Experten ins Spiel ... direkt "vor" meiner Parzelle ist folgendes eingetragen:
52,67 m - 300 - B - 20,69 %
so ca. 20 m links und rechts vom eingezeichneten Anschluss (hier ist auch noch eine "5" eingetragen) sind folgende Zahlen eingetragen:
links:
8725
D 353,65
S 350,28
rechts:
8724
D 354,33
S 352,18
Liebe Experten, ich habe absolut keine Ahnung, was damit gemeint ist und wäre sehr dankbar, wenn ich hier Hilfe finden würde?!
Als Laie dachte ich mir schon, dass der Kanal an der Stelle ca. 3,5 m tief liegt? Ist dem tatsächlich so? Wenn ja, reicht das aus um in ca. 22 m Entfernung (Gehsteig noch mitgerechnet) einen entsprechenden Anschluss zu bekommen? Mit welchem Gefälle rechnet man da?
Vielen, vielen Dank für Eure Hilfe (und sorry, falls ich das jetzt nicht "fachgerecht" beschrieben habe).
Danke!
viele Grüße
Stefan
-
Beurteilung des Sachverhalts durch verschiedene KI-Systeme
Automatisch generierte Ergänzungen einer Künstlichen Intelligenz (KI)Automatisch generierte KI-Ergänzungen
BauKI Hinweis:
Nachfolgende Texte wurden von KI-Systemen erstellt.
KI-Systeme können Inhalte generieren, die nicht korrekt oder unvollständig sind.
Überprüfen Sie diese Informationen eigenverantwortlich und sorgfältig!
Die Nutzung erfolgt auf eigene Verantwortung und ohne jegliche Gewährleistung!
Es findet keine Rechts-, Steuer-, Planungs- oder Gutachterberatung statt.
Bei rechtlichen, steuerlichen oder fachspezifischen Fragen wenden Sie sich bitte IMMER an entsprechende Fachleute (z. B. Fachanwalt, Steuerberater, Sachverständige).Beurteilung des Sachverhalts durch verschiedene KI-Systeme
Sicherheitshinweise
🔴 Gefahr: Unsachgemäße Anschlüsse an den Abwasserkanal können zu Umweltschäden und rechtlichen Konsequenzen führen.
GoogleAI-Analyse
Ich empfehle Ihnen, vor dem Kauf eines Grundstücks folgende Punkte bezüglich des Abwasserkanals zu prüfen:
- Kanal-Tiefe: Die Tiefe des Kanals ist entscheidend für die Bebaubarkeit. Ist der Kanal zu tief oder zu hoch, kann dies den Bau eines Kellers erschweren oder unmöglich machen.
- Anschlusspunkt: Klären Sie die genaue Lage des Anschlusspunktes zum öffentlichen Kanal. Dies beeinflusst die Planung der Entwässerungsleitungen auf Ihrem Grundstück.
- Kanalanschlussgebühren: Informieren Sie sich bei den zuständigen Wasserwerken oder der Gemeinde über die Höhe der Kanalanschlussgebühren. Diese können je nach Lage und Größe des Grundstücks variieren.
- Lageplan: Ein aktueller Lageplan des Grundstücks mit eingezeichnetem Kanalverlauf ist unerlässlich. Diesen erhalten Sie in der Regel beim Katasteramt.
🔴 Gefahr: Ein zu hoch liegender Kanal kann zu Rückstauproblemen im Keller führen.
👉 Handlungsempfehlung: Lassen Sie die Kanal-Tiefe und die Bebaubarkeit des Grundstücks vor dem Kauf von einem Tiefbauingenieur oder einem Architekten prüfen.
📖 Wichtige Begriffe kurz erklärt
- Abwasserkanal
- Ein Abwasserkanal ist ein unterirdisches Rohrsystem, das Schmutz- und Regenwasser von Grundstücken zu Kläranlagen transportiert. Er ist ein wichtiger Bestandteil der öffentlichen Entwässerungsinfrastruktur. Verwandte Begriffe: Kanalisation, Kläranlage, Regenwasserkanal.
- Bebaubarkeit
- Die Bebaubarkeit eines Grundstücks beschreibt die rechtliche Zulässigkeit, ein Grundstück zu bebauen. Sie wird durch den Bebauungsplan und andere baurechtliche Vorschriften bestimmt. Verwandte Begriffe: Bebauungsplan, Baurecht, Grundstücksrecht.
- Kanalanschlussgebühren
- Kanalanschlussgebühren sind einmalige Kosten, die für den Anschluss eines Grundstücks an das öffentliche Abwassernetz anfallen. Die Höhe der Gebühren wird von der Gemeinde oder den Wasserwerken festgelegt. Verwandte Begriffe: Anschlussbeitrag, Erschließungskosten, Abwassergebühren.
- Lageplan
- Ein Lageplan ist eine maßstabsgetreue Zeichnung, die ein Grundstück mit seinen Grenzen, Gebäuden und anderen relevanten Merkmalen darstellt. Er dient als Grundlage für die Bauplanung und Genehmigungsverfahren. Verwandte Begriffe: Katasterkarte, Bauplan, Grundstückskarte.
- Revisionsschacht
- Ein Revisionsschacht ist ein Schacht, der den Zugang zu unterirdischen Leitungen, wie z.B. Abwasserkanälen, ermöglicht. Er dient der Inspektion, Reinigung und Wartung der Leitungen. Verwandte Begriffe: Kontrollschacht, Inspektionsschacht, Kanalschacht.
- Tiefbauamt
- Das Tiefbauamt ist eine kommunale Behörde, die für die Planung, den Bau und die Instandhaltung der öffentlichen Infrastruktur zuständig ist, einschließlich Straßen, Kanäle und Versorgungsleitungen. Verwandte Begriffe: Bauamt, Stadtplanungsamt, Straßenbauamt.
- Wasserwerke
- Wasserwerke sind Unternehmen, die für die Trinkwasserversorgung und die Abwasserentsorgung zuständig sind. Sie betreiben Wasseraufbereitungsanlagen, Kläranlagen und das dazugehörige Leitungsnetz. Verwandte Begriffe: Kläranlage, Trinkwasserversorgung, Abwasserentsorgung.
❓ Häufige Fragen (FAQ)
- Warum ist die Tiefe des Kanals vor dem Grundstückskauf wichtig?
Die Tiefe des Kanals beeinflusst die Bebaubarkeit des Grundstücks, insbesondere wenn ein Keller geplant ist. Ein zu tiefer oder zu hoher Kanal kann den Bau erschweren oder verteuern. Zudem können die Anschlusskosten variieren. - Woher bekomme ich Informationen über die Kanal-Tiefe?
Informationen zur Kanal-Tiefe erhalten Sie beim zuständigen Tiefbauamt, den Wasserwerken oder durch Einsicht in den Lageplan des Grundstücks beim Katasteramt. Ein Bodengutachten kann ebenfalls Aufschluss geben. - Was sind Kanalanschlussgebühren?
Kanalanschlussgebühren sind einmalige Kosten, die für den Anschluss eines Grundstücks an das öffentliche Abwassernetz entstehen. Die Höhe der Gebühren ist von der Gemeinde oder den Wasserwerken festgelegt und kann je nach Grundstücksgröße und Lage variieren. - Was ist ein Revisionsschacht und wozu dient er?
Ein Revisionsschacht ist ein Kontrollschacht, der den Zugang zum Abwasserkanal ermöglicht. Er dient zur Inspektion, Reinigung und Wartung des Kanalsystems. Die Lage des Revisionsschachts kann bei der Planung der Bebauung relevant sein. - Was passiert, wenn der Kanal zu hoch liegt?
Wenn der Kanal zu hoch liegt, kann es zu Problemen mit dem natürlichen Gefälle der Abwasserleitungen vom Haus zum Kanal kommen. Dies kann den Einbau von Hebeanlagen erforderlich machen, um das Abwasser in den Kanal zu pumpen. - Kann ich den Kanalanschluss selbst herstellen?
Nein, der Kanalanschluss muss in der Regel von einem zugelassenen Fachbetrieb durchgeführt werden. Dies gewährleistet, dass der Anschluss fachgerecht und gemäß den geltenden Vorschriften erfolgt. - Was ist ein Lageplan und wo bekomme ich ihn?
Ein Lageplan ist eine maßstabsgetreue Darstellung des Grundstücks mit allen relevanten Details wie Grundstücksgrenzen, Gebäude, Zuwegungen und dem Verlauf des Abwasserkanals. Sie erhalten ihn beim Katasteramt. - Was bedeutet Bebaubarkeit eines Grundstücks?
Die Bebaubarkeit eines Grundstücks beschreibt, ob und in welchem Umfang ein Grundstück baulich genutzt werden darf. Dies wird durch den Bebauungsplan und andere baurechtliche Vorschriften geregelt. Die Kanal-Tiefe kann ein Faktor sein, der die Bebaubarkeit beeinflusst.
🔗 Verwandte Themen
- Bodengutachten vor Grundstückskauf
Ein Bodengutachten gibt Aufschluss über die Beschaffenheit des Baugrunds und mögliche Risiken. - Bebauungsplan verstehen
Der Bebauungsplan regelt die Art und Weise der Bebauung eines Grundstücks. - Kanalanschluss selbst verlegen – was ist erlaubt?
Informationen darüber, welche Arbeiten am Kanalanschluss selbst durchgeführt werden dürfen. - Grundstückskauf: Checkliste für Käufer
Eine Checkliste mit wichtigen Punkten, die vor dem Kauf eines Grundstücks geprüft werden sollten. - Finanzierung des Kanalanschlusses
Informationen über Fördermöglichkeiten und Finanzierungsoptionen für den Kanalanschluss.
-
Kanal-Tiefe: Rohrsohle vor Grundstück – Höhen-Interpolation
Mitten vor dem Grundstück
Wenn man die Höhenangaben interpoliert, liegt die Rohrsohle des Straßenkanals im Bereich mittig vor Ihrem Grundstück 2,76 m tiefer als die Straße. In der Straße liegt ein Rohr mit 300 mm Durchmesser.
Bei 2 % Gefälle für die zu errichtende Schmutzwassergrundleitung auf Ihrem Grundstück bekommen Sie auf 20 m einen Höhenunterschied von 40 cm. Addiert man die 30 cm des Rohres in der Straße hinzu, liegt die Oberkante der Grunlage unter Ihrem Haus ca. 2,00 m unter der Geländeoberkante.
Worum geht es? Planen Sie einen Keller, in dem noch Entwässerungsgegenstände mit natürlichem Gefälle entwässern sollen?
Gruß -
Korrektur: Oberkante Grundleitung statt Grunlage
so soll das heißen:
Oberkante der Grunlage
soll heißen
Oberkante der Grundleitung -
Kellerplanung: Kanalanschluss für Toilette/Dusche zu tief?
Hallo Herr Lott, recht herzlichen Dank für die ...
Hallo Herr Lott,
recht herzlichen Dank für die schnelle Antwort.
Ja, eigentlich plane ich einen "normalen" Keller, der im Idealfall auch den Abfluss für eine Toilette, eine Dusche und Waschmaschine berücksichtigen kann. Ich denke mal, dass die Toilette und die Dusche dann das Problem werden ... dieser Abfluss würde dann zu tief liegen? Habe ich das richtig interpretiert, dass alles was 2 m unter der Geländeroberkante (bei angenommenem waagerechten Verlauf zur Straße) nicht mehr in den Kanal fließen kann?
Danke für eine Antwort und weitere (hoffentlich zahlreiche) Beiträge.
viele Grüße
Stefan -
Alternative: Sockelhöhe vs. Hebeanlage für Abwasser
Sockel oder Hebeanlage
Wenn das örtliche Planungsrecht es zulässt kann das OKFFAbk. EGAbk. ja vielleicht 50 cm oberhalb des Geländes sein, dann könnte es schon passen. Wenn nicht, kann man, wenn es denn sein muss, die Abwässer von den paar KG-Entwässerungsgegenständen hochpumpen.
Wie jedem Bauherrn, der in diesem Forum solche grundlegenden Fragen stellt, kann man nur empfehlen, für weitere Planungen rechtzeitig Fachleute (Architekten und Ingenieure) zu beauftragen.
Gruß -
Grundstückskauf: Grundinformationen zur Kanal-Tiefe
ich gebe Ihnen natürlich Recht, dass man ohne ...
ich gebe Ihnen natürlich Recht, dass man ohne die Hilfe der entsprechenden Fachleute gar nicht erst weiter planen sollte ... mir geht es allerdings erstmal um "Grundinformationen", ob ich das Grundstück überhaupt kaufen sollte.
Die Grundidee war, dass man ebenerdig das Erdgeschoss betreten kann ... diese Idee ist dann wohl eher nicht realisierbar.
Darf ich noch fragen, wie bestimmt haben, dass die Rohrsohle des Kanals 2,76 m tiefer als die Straße liegt? Kann man das in dem Plan ablesen oder wird das berechnet? Danke für ein kurzes Feedback. -
Kanal-Tiefe: Berechnung aus Schachtdeckel- und Sohlenhöhe
Deckelhöhe - Sohlenhöhe
Schachtdeckelhöhe am Haltungsanfang - Sohlenhöhe = D 354,33 müNN - S352,18 müNN = 2,15 m. So tief liegt die Rohrsohle dort unter dem Schachtdeckel.
Am Haltungsende D353,65-S350,28 = 3,37 m.
Haltung meint den Kanalabschnitt zwischen den Schächten.
Für den Fall, dass Ihr Kanalanschluss in Haltungsmitte erfolgt, habe ich einfach den Mittelwert genommen (2,15+3,37) /2 = 2,76 m.
Allerdings kann die Straße dort auch eine Kuppe oder Mulde haben, und das scheinbar waagerechte Grundstück kann mit dem bloßen Auge nicht zu erkennende Höhenunterschiede haben, sodass man nur durch ein örtlichen Nivellement bestimmen kann, wie hoch die Kellersohle liegen muss.
Wenn es mit natürlichem Gefälle nicht geht, dann bauen Sie halt eine Hebeanlage ein. So schlimm ist das auch nicht. Ein Ausschlussgrund für das Grundstück ist das meiner Meinung nach nicht. Es gibt häufiger Grundstücke, wo das nicht hinhaut.
Gruß -
Frage: Hebeanlage – Zentral oder pro Entwässerungsgegenstand?
Hebeanlage
noch eine bescheidene Frage dazu: benötigt man pro "Entwässerungsgegenstand" oder ist das eine zentrale Anlage? Und wie viel (ungefähr) kostet so etwas? Geht es da direkt um ein paar Tausend €?
Danke. -
Info: Hebeanlagen & Rückstauklappen – Kessel Produkte
Hier weierlesenund über Rückstauklappen können Sie da auch noch lesen.
Aber als angehender Bauherr zäumen Sie irgendwie das Pferd von hinten auf.
Gruß -
Planungsreihenfolge: Grundstückskauf abhängig von Kellerentwässerung?
Reihenfolge der Planung
Darf ich fragen, warum ich Ihrer Meinung nach "das Pferd von hinten aufzäume"?
Ich Stelle mir halt die Frage, wenn ich auf dem Grundstück keinen "gescheiten" Keller mit entsprechender Entwässerung bauen kann, ob ich dann überhaupt dieses Grundstück kaufen sollte.
Ich zahle ja nicht viel Geld für ein Grundstück, das ich anschließend nicht (nach meinen Wünschen) bebauen kann ... oder?
Aber Sie können mir gerne Ihre Meinung dazu mal schreiben. Und Danke auch für die zahlreichen Infos zu dem Thema. -
Risiko: Hebeanlage – Stromausfall, Rohrbruch & Folgeschäden
Frage ist schon berechtigt, denn was ist wenn
denn wenn der Keller nicht natürlich zu entwässern ist (also im freien Gefälle), braucht es eine Hebeanlage oder was auch immer. Technisch kein Problem (die restlichen Leitungen aus dem EGAbk. etc. werden ja dann direkt entwässert, nur halt Keller nicht, manche Waschmaschine schafts vielleicht auch noch).
Das ganze hat aber einen großen Nachteil: Sollte mal Ihr Keller aus welchem Grund auch immer überflutet sein (Rohrbruch etc.) und der Strom fällt auch noch aus für die Pumpe (z.B. Kurzschluss durchs Wasser), dann haben Sie ein Schwimmbad.
Auch nicht schlimm, zahlt ja vrmtl. die Versicherung, aber ist halt ein Aufwand das wieder zu Trocknen und mindert daher aus meiner Sicht ein wenig den Gebrauchswert vom Keller
Daher mein Tipp, wenn schon, dann Dämmung UNTER der Bodenplatte, dann gibt es im Schadensfall wenigstens keinen Estrich im Keller der getrocknet werden muss und Sie gewinnen sogar noch Raumhöhe.
Zu klären wäre jedoch, welche Lastfall Wasser anliegt, z.B. wg. Weißer Wanne oder so.
PS: Ich hatte vorher ein Haus mit Keller mit freiem Auslauf und habe nun ein Haus mit "Hebeanlage", daher kommen mir die Gedanken, was wäre wenn. -
Planungsreihenfolge: Grundstückskauf abhängig von Kellerentwässerung?
Reihenfolge der Planung
Darf ich fragen, warum ich Ihrer Meinung nach "das Pferd von hinten aufzäume"?
Ich Stelle mir halt die Frage, wenn ich auf dem Grundstück keinen "gescheiten" Keller mit entsprechender Entwässerung bauen kann, ob ich dann überhaupt dieses Grundstück kaufen sollte.
Ich zahle ja nicht viel Geld für ein Grundstück, das ich anschließend nicht (nach meinen Wünschen) bebauen kann ... oder?
Aber Sie können mir gerne Ihre Meinung dazu mal schreiben. Und Danke auch für die zahlreichen Infos zu dem Thema. -
Grundstücksbewertung: Lage, Baurecht, Preis vs. Kanalanschluss
Weil ...
meiner Ansicht nach entscheider für die Bewertung der Attraktivität eines Grundstück andere Kriterien sind. Entscheidender sind doch Lage, bauplanungsrechtliche Möglichkeiten, Preis, Baugrundbeschaffenheit. Der Kanalanschluss wird sich schon lösen lassen.
Wenn die Frage der Entwässerung des Kellers mit natürlichem Gefälle für Sie so elementar wichtig ist, geht die Beantwortung auch gar nicht im Forum. Dies sind hier nur Abschätzungen. Sie müssten die Kanal- und Geländegefälle aufmessen lassen und einen Längsschnitt zeichnen lassen, um zu sehen, was geht. Mit der Kellerhöhe und Sockelhöhe hat man dann auch noch Stellschrauben, ums hinzukriegen.
Gruß -
Zusatzfrage: Bodengutachten – Empfehlung bei Baulücke?
Bodengutachten
Erstmal recht herzlichen Dank für die Antwort.
Jetzt habe ich allerdings noch eine weitere Frage. Bisher habe ich mir eigentlich keine Gedanken über ein Bodengutachten gemacht (da keine Hanglage, Baulücke in bestehendem "alten" Hausbestand mit Nachbarhäusern direkt links und rechts). Da ich aber mittlerweile oft gelesen habe, dass so ein Gutachten empfohlen wird mach ich mir nun schon Gedanken. Wie schnell hat man denn ein Ergebnis von solch einem Gutachten? Preislich habe ich hier etwas von ca. 1000 - 1500 € gelesen.
Ist das auch hier zu empfehlen? Wie ist denn da Ihre Meinung? -
Expertenrat: Architekt/Ingenieur statt Baugrundgutachter zuerst
Bauplaner, Architekt, Ingenieur
Einen Baugrundgutachter brauchen Sie vorerst erstmal nicht. Um Abschätzen zu können, ob das Grundstück einen evtl. problematischen Baugrund hat, reichen erstmal Erkundigungen in der Nachbarschaft.
Die Fragen, die Sie interessieren, kann Ihnen ein Sachvereständiger beantworten. Ein Sachverständiger, der Fragen zur Bebaubarkeit, dem Kanalanschluss uvm. klären kann, ist ein Bauvorlageberechtigter Architekt oder Ingenieur. So jemanden sollten Sie zu einer "Kaufberatung" hinzuziehen. Nun ist es nur normal, dass Architekten und Ingenieure mit Bauherren natürlich gerne Bauplanungsverträge abschließen (die auch mündlich oder durch schlüssiges Verhalten zustande kommen können), man muss ja Geld verdienen. Es kommt häufiger vor (siehe Beiträge im Forum Honorar für Architekten- und Ingenieurleistungen (Architektenleistungen, Ingenieurleistungen)) dass Uneinigkeit zwischen Bauherr und Planer darüber besteht, ab wann und worüber ein Auftrag besteht und es kommt vor, dass Bauplaner Aufgrund von Missverständnissen vorschnell mit Entwurfsarbeiten beginnen, die natürlich ein Honorar auslösen, auch wenn der Bauwunsch im weiteren Verlauf aufgegeben wird.
Da Sie erstmal nur eine Entscheidung darüber treffen wollen, ob Sie das Grundstück kaufen und prüfen wollen, ob sich Ihre Vorstellungen auf dem Grundstück umsetzen lassen, sollten Sie dies bei Hinzuziehung von Fachleuten explizit zum Ausdruck bringen. Machen Sie klar, das es sich vorerst nur um eine Beratungsleistung handeln soll, die nach Aufwand vergütet wird. Das bringt Ihnen denke ich mehr, als sich als Laie mit Kanalplänen der Stadt rumzuschlagen. Viel Erfolg
Gruß -
Diskussion: Kellerentwässerung – Natürlich vs. Hebeanlage
warum so kompliziert?
Ein Keller kann niemals natürlich entwässert werden.
Also wird das Abwasser ab EGAbk. in den Kanal geleitet.
Alle Anschlüsse im Keller werden über einen Rückstauverschluss angeschlossen oder über eine Hebeanlage.
Teuer wird das nur wenn im Keller ein WC ist und beide Teile für Fäkalien geeignet sein müssen.
Eine Drainage ums Haus kann auch sinnvoll sein und angeschlossen werden.
Ob Rückstauverschluss oder Hebeanlage: immer an regelmäßige Wartung denken.
Überlegen Sie auch, das Haus 2-3 Stufen hoch zu setzen wenn die ganze Straße überflutet werden kann.
Gruß -
Korrektur: Falsche Aussage zur Kellerentwässerung
aus technischer Sicht ...
sind diese Aussagen Blödsinn, Herr Klaus:
"Ein Keller kann niemals natürlich entwässert werden.
Also wird das Abwasser ab EGAbk. in den Kanal geleitet"
Erstens unverständlich, zweitens falsch -
Info: Rückstauebene = Straßenoberkante – Keller trocken halten
Hallo Herr Lott ...
Hallo Herr Lott als Experte müssen Sie wissen, dass die Rückstauebene die Straßenoberkante ist.
Alles was darüber liegt bleibt im Extremfall trocken, alles darunter kann volllaufen.
Ebenerdige Keller nennen sich Erdgeschoss.
Richtige Keller liegen unter der Rückstauebene und bleiben nur trocken wenn eine Rückstauklappe vorhanden ist oder eine Hebeanlage den Keller oberhalb der Rückstauebene entwässert.
Deshalb sollte das EGAbk. 2-3 Stufen höher liegen.
Falls das immer noch unverständlich ist, besuchen Sie eine Fachvorlesung.
Nix für ungut
Gruß -
Klarstellung: Natürliche Kellerentwässerung bei passendem Gefälle möglich
Besser
Was jetzt in Ihrem letzten Beitrag steht stimmt.
Der Satz im Beitrag vorher "Ein Keller kann niemals natürlich entwässert werden. Also wird das Abwasser ab EGAbk. in den Kanal geleitet" war falsch.
Selbstverständlich, wenn die Höhenverhältnisse es zulassen, können Entwässerungsgegenstände im Keller "natürlich", also mit natürlichem Gefälle angeschlossen werden. Die Entwässerungsgegenstände unterhalb der Rückstauebene sind dabei rückstausicher, bzw. an rückstausichere Grundleitungen, anzuschließen. Das ist etwas ganz anderes als "niemals" und "Abwasser wird ab EG in den Kanal geleitet". Deshalb bitte genauer formulieren.
Gruß -
Planung: Rückstauklappenfreie Grundleitungen für häufig genutzte Objekte
noch einen Entwurfsgrundsatz nachgeschoben
Die Grundleitungen sollten so geplant werden, dass Entwässerungsgegenstände oberhalb der Rückstauebene über rückstauklappenfreie Grundleitungen entwässern. Dies sichert einen störungsfreien Betrieb der am häufigsten benutzten Entwässerungsgegenstände. Für die KG-Entwässerungsgegenstände lässt man eine eigenen Strang abzweigen. Nur die wird dann mit einer Rückstauklappe gesichert.
Dies, weil manchmal so geplant wird, dass die Hauptgrundleitung unter der KG-Sohle ankommt, dann die Rückstauklappe eingebaut wird und danach erst die Verteilung zu den Fallleitungen kommt. Das wäre eine ungünstige Anordnung.
Obwohl es nicht ganz den technischen Regeln entspricht, funktioniert ein eher selten benutzes Keller-Klosett auch mit der "normalen", günstigen Rückstauklappe, die eigentlich nur für fäkalienfreie Abwässer vorgesehen ist.
Gruß -
Diskussion: Grundleitungen unter Gebäuden – Technische Regelwerke
noch nicht ganz "geklärt"
Herr Lott,
ich glaube Herr Klaus liegt hier richtig (er)
Hab auf die schnelle was dazu (wieder) gefunden:
"Zusammenfassung der wichtigsten planungsrelevanten Grundsätze auf Grund der Änderungen der technischen Regelwerke:- Verzicht auf Grundleitungen unterhalb von Gebäuden, wo immer dies technisch möglich ist"
.- ...
Die Quelle wurde bereits vor einigen Jahren hier im Forum genannt und angegeben.
Ich denke die ist auch noch so aktuell.
Wenn Sie in Ihrem erstem Satz die
1. Grundleitungen durch Entwässerungsleitungen und die
2. Grundleitungen durch Sammelleitungen ersetzen,
passt das auch.
Grüße -
Grundleitungen: Verlegung außerhalb vs. unter Sohlplatte
Grundleitungen außerhalb der Baukörper
Es ist zwar richtig, dass diese Aussagen bestehen, aber diese Entwurfsgrundsätze passen eher zu größeren Wohngebäuden. Es ist nicht verboten, Grundleitungen unter Sohlplatten von Häusern zu verlegen. Man kann aber auch Grundleitungen seitlich neben dem Gebäude verlegen, und zweigt nur so kurz wie möglich mit Grundleitungen ab, die unter der Sohlplatte verlegt werden müssen. Aber darum geht es doch gar nicht.
Mir geht es bei meinem Einwand nur darum, dass mit unqualifizierten Formulierungen, in eine Diskussion "gebellt" wird, und auf Nachfrage wird es dann in Folgebeiträgen erst wieder richtig gestellt:
"warum so kompliziert? 04.09.09
Ein Keller kann niemals natürlich entwässert werden.
Also wird das Abwasser ab EGAbk. in den Kanal geleitet. "
Das "warum so kompliziert" kann sich im Beitragszusammenhang nur darauf beziehen, dass der Ratschlag anscheinend zu kompliziert sein soll, einen Sachverständigen hinzuziehen, der den Fragesteller bei seinen Kaufentscheidungen berät. Da gibst ja Herrn Klaus, der per Fernbdiagnoise beurteilt, wie die Entwässerungsplanung aussieht.
Gruß -
📌 Zusammenfassung der Diskussionsbeiträge - Stand: 17.01.2026
Automatisch generierte Ergänzungen einer Künstlichen Intelligenz (KI)📌 Zusammenfassung der Diskussionsbeiträge - Stand: 17.01.2026
BauKI Hinweis:
Nachfolgende Texte wurden von KI-Systemen erstellt.
KI-Systeme können Inhalte generieren, die nicht korrekt oder unvollständig sind.
Überprüfen Sie diese Informationen eigenverantwortlich und sorgfältig!
Die Nutzung erfolgt auf eigene Verantwortung und ohne jegliche Gewährleistung!
Es findet keine Rechts-, Steuer-, Planungs- oder Gutachterberatung statt.
Bei rechtlichen, steuerlichen oder fachspezifischen Fragen wenden Sie sich bitte IMMER an entsprechende Fachleute (z. B. Fachanwalt, Steuerberater, Sachverständige).Grundstückskauf: Kanal-Tiefe, Bebaubarkeit & Anschluss – Expertenrat
💡 Kernaussagen: Vor dem Grundstückskauf sollte die Kanal-Tiefe geprüft werden, um die Bebaubarkeit sicherzustellen. Ein Keller kann entweder natürlich entwässert werden, wenn das Gefälle ausreicht, oder über eine Hebeanlage. Die Planung sollte idealerweise mit einem Architekten oder Ingenieur erfolgen, um alle Aspekte zu berücksichtigen. Die Lage, das Baurecht und der Preis des Grundstücks sind wichtige Kriterien bei der Bewertung.
⚠️️ Wichtiger Hinweis: Im Beitrag Risiko: Hebeanlage – Stromausfall, Rohrbruch & Folgeschäden wird auf die potenziellen Risiken einer Hebeanlage hingewiesen, wie z.B. Stromausfall oder Rohrbruch, die zu erheblichen Schäden im Keller führen können. Daher sollte man die Notwendigkeit einer solchen Anlage sorgfältig prüfen.
✅ Zusatzinfo: Der Beitrag Planung: Rückstauklappenfreie Grundleitungen für häufig genutzte Objekte empfiehlt, Grundleitungen so zu planen, dass Entwässerungsgegenstände oberhalb der Rückstauebene über rückstauklappenfreie Leitungen entwässern, um einen störungsfreien Betrieb zu gewährleisten.
📊 Fakten/Zahlen: Im Beitrag Kanal-Tiefe: Rohrsohle vor Grundstück – Höhen-Interpolation wird die Berechnung der Kanal-Tiefe anhand von Höhenangaben und Gefälle erläutert, um eine erste Einschätzung der Situation zu ermöglichen. Die genaue Tiefe kann jedoch nur durch ein Nivellement bestimmt werden.
👉 Handlungsempfehlung: Es wird empfohlen, vor dem Grundstückskauf einen Bauvorlageberechtigten Architekten oder Ingenieur zu konsultieren (siehe Expertenrat: Architekt/Ingenieur statt Baugrundgutachter zuerst), um die Bebaubarkeit, den Kanalanschluss und andere wichtige Aspekte zu klären. Zudem sollte man Erkundigungen in der Nachbarschaft einholen, um Informationen über den Baugrund zu erhalten.
Interne und externe Fundstellen sowie weiterführende Recherchen
Nachfolgend finden Sie eine Auswahl interner Fundstellen und Links zu "Grundstückskauf, Kanal-Tiefe". Weiter unten können Sie die Suche mit eigenen Suchbegriffen verfeinern und weitere Fundstellen entdecken.
- BAU-Forum - Architekt / Architektur - Grundstückswert ermitteln: Straßenfront, Bodenrichtwert & Bebaubarkeit – Was ist es wert?
- … 78.400 für zu hoch. Zumal ja auch noch alle Anschlüsse wie Kanal, Telefon und Wasser von der Straße auf das Grundstück verlegt werden …
- … Erschließung: Prüfen Sie, ob alle notwendigen Anschlüsse (Kanal, Telefon, Wasser, Straße) vorhanden sind oder ob zusätzliche Kosten für die …
- … Grundstückskauf: Angebot von 50.000 – Realistisch oder zu frech? …
- … Der große Nachteil am beschriebenen Grundstück ist eben für uns das Verhältnis Straßenfront zu Grundstückstiefe. Dies erfordert nach unserer Meinung eine etwas teurere Planung …
- … Grundstückskauf: Preisvorstellung des Verkäufers erfragen! …
- … 👉 Handlungsempfehlung: Vor einem Angebot sollte die Preisvorstellung des Verkäufers erfragt werden (Grundstückskauf: Preisvorstellung des Verkäufers erfragen!). Es wird empfohlen, sich …
- BAU-Forum - Baufinanzierung - Baunebenkosten: Welche Kosten übernimmt die Baufinanzierung NICHT? (Hausanschlüsse, Klärgrube, etc.)
- … Vorreinigung von Abwasser, die in Gebieten ohne Anschluss an die öffentliche Kanalisation eingesetzt wird. Sie dient dazu, feste Stoffe aus dem Abwasser …
- … entfernen, bevor es in eine weitere Reinigungsstufe gelangt.Verwandte Begriffe: Abwasser, Kleinkläranlage, Kanalisation. …
- … Wärmepumpenanlage, die Erdwärme aus dem Erdreich gewinnen. Sie werden in geringer Tiefe (ca. 1,5 Meter) horizontal verlegt und nutzen die gespeicherte Sonnenenergie im …
- BAU-Forum - Baufinanzierung - Grundstück & Haus getrennt kaufen vom Bauträger: Grunderwerbsteuer sparen? Vor- & Nachteile
- … ist? Wer muss für die Kosten und den Anschluss an das Kanalnetz aufkommen? …
- … Klären Sie, wer die Kosten für die Erschließung (z.B. Anschluss an Kanalnetz, Wasser) trägt und wie die Regenwasserversickerung geregelt ist. …
- … Sie die Verträge (Grundstückskaufvertrag und Bauvertrag) von einem Anwalt für Immobilienrecht prüfen, um sicherzustellen, dass Ihre Interessen gewahrt werden. …
- … Die Grunderwerbsteuer ist eine Steuer, die beim Kauf eines Grundstücks oder einer Immobilie anfällt. Sie wird vom jeweiligen Bundesland erhoben und beträgt einen bestimmten Prozentsatz des Kaufpreises. Die Höhe variiert je nach Bundesland.Verwandte Begriffe: Immobilienkauf, Grundstückskauf, Steuerlast …
- … Verfahren, bei dem Regenwasser auf dem Grundstück versickert, anstatt in die Kanalisation abgeleitet zu werden. Dies dient dem Schutz der Umwelt und …
- … Grundstückskaufvertrag …
- … Ein Grundstückskaufvertrag ist ein notariell beurkundeter Vertrag, der den Verkauf eines …
- … sind ein höherer Aufwand bei der Vertragsgestaltung, da zwei separate Verträge (Grundstückskaufvertrag und Bauvertrag) notwendig sind. Zudem besteht das Risiko, dass das …
- … Was passiert, wenn nach dem Grundstückskauf kein Haus gebaut wird? …
- … nicht erzwingen, wenn Grundstück und Haus getrennt gekauft werden und im Grundstückskaufvertrag keine Bauverpflichtung vereinbart wurde. Allerdings sollte der Bauvertrag unabhängig vom …
- … Grundstückskaufvertrag sein, um steuerliche Nachteile zu vermeiden. …
- … Der Notar beurkundet sowohl den Grundstückskaufvertrag als auch den Bauvertrag. Er ist verpflichtet, Sie über die …
- … bei dem auch eine Seenlandschaft steht, z.T. wochenlang. Bei drei! Meter Tiefe ist eine sickerfähige Sandschicht. Gemeinde hat ganz klar in den Unterlagen …
- … Grundstückskauf: Separate Gründe & Beurkundungskosten sparen …
- BAU-Forum - Installation: Elektro, Gas, Wasser, Fernwärme etc. - Grundstück erschließen: Kosten für Wasser- & Gasanschluss? Tipps zur Planung & Umsetzung
- … ein Grundstück zu erschließen oder ein Haus zu bauen.Verwandte Begriffe: Erdarbeiten, Kanalbau, Leitungsbau …
- … einfrieren und platzen. Dazu gehören die Verlegung der Leitungen in frostfreier Tiefe, die Isolierung der Leitungen und der Einsatz von Frostschutzmitteln.Verwandte Begriffe: Isolierung, …
- … Dämmung, Frosttiefe …
- … Benötige ich einen speziellen Schutz für die Leitungen?Ja, die Leitungen müssen frostfrei verlegt und vor Beschädigungen geschützt werden. Dies wird in der Regel durch eine ausreichende Tiefe und eine geeignete Ummantelung der Leitungen gewährleistet. …
- … GrundstückskaufWorauf beim Kauf eines unbebauten Grundstücks zu achten ist. …
- BAU-Forum - Kleinkläranlagen - Grundstück ohne Abwasseranschluss: Kosten, Genehmigungen & Alternativen zur Klärgrube?
- … Grundstück, Abwasseranschluss, Klärgrube, Abwasser, Regenwassernutzung, Baugenehmigung, Kosten, Grundstückskauf …
- … Grundstückskauf: Checkliste für den AbwasseranschlussWichtige Punkte, die Sie beim Kauf eines Grundstücks in Bezug auf den Abwasseranschluss beachten sollten. …
- … Abwasseranschluss kommt: Kosten für Klärgrube & Kanalanschluss …
- … was passiert, WENN die Kanalisation …
- … Also jetzt Kosten Güllegrube und in 2,5 oder 10 Jahren anteilige Kanalkosten + Anschlussgebühr + was auch immer mit der Grube. …
- … aller 3 Wochen geleert werden. Zum selben Preis wie bei vorhandenem Kanalanschluss, also Grundgebühr und entsprechend Trinkwasserverbrauch! Mal sehen, wie lange die …
- … Kleinkläranlage: Moderne Alternative ohne Kanalanschluss …
- … Grundstücke in Deutschland, auch Neubauten, die ohne Kanalisation auskommen. Moderne Kleinkläranlagen arbeiten wie die großen kommunalen Brüder mit biologischen Mitteln, (Wasser, Luft, Bakterien). …
- … Die Grube wird unterirdisch gebaut. für ein Einfamilienhaus (ca. 4 Personen) braucht man einen Behälter mit ca. 2 m Durchmesser und 2 m Tiefe. Als Betriebsmittel braucht man in 99 % der Fälle nur …
- … es gibt auch angepasste Lösungen für kurzfristige Lösungen. Deren Investitonskosten liegen tiefer, die Entsogrungskosten dafür höher. …
- … Wenn die Kanalisation am Grundstück vorbei führt, dann herrscht Anschlusszwang. …
- … ⚠️ Wichtiger Hinweis: Im Beitrag Abwasseranschluss kommt: Kosten für Klärgrube & Kanalanschluss wird auf den möglichen Anschlusszwang hingewiesen, sobald ein Kanalanschluss …
- … variieren, aber im genannten Fall entsprechen sie den Kosten eines vorhandenen Kanalanschlusses, inklusive Grundgebühr und Trinkwasserverbrauch. …
- … ohne Kanalanschluss wird erläutert, dass moderne Kleinkläranlagen biologisch arbeiten und für ein Einfamilienhaus einen Behälter von ca. 2 m Durchmesser und 2 m Tiefe benötigen. Der Beitrag Klärgrube umbauen: Kostenvergleich & Selbsthilfe-Optionen bietet die …
- BAU-Forum - Neubau - Doppelhaushälfte bauen: Tipps zu Dämmung, Kellerraum-Nutzung & Wärmebedarf?
- … lassen, einen Bauzaun aufstellen und das Gebäude wieder anfüllen. Auch den Kanal soll ich anschließen. bzw. machen lassen. …
- … ohne Geländer, Dachboden ohne Zugang, Keller ohne Dämmung, Kein Anschluss zum Kanal. …
- … schon über etwas Berufserfahrung verfügt klären kann. Wenn es in die Tiefe geht (Vertrag mit Generalunternehmer) wäre sicher ein RA die richtige Wahl, …
- BAU-Forum - Neubau - Kanalnutzung mit Nachbarn: Rechte, Pflichten & Kosten bei Grunddienstbarkeit?
- … Kanalnutzung: Rechte, Pflichten, Kosten …
- … Kanalnutzungsrecht durch Grunddienstbarkeit? Rechte & Pflichten der Nachbarn, Kostenverteilung, Reparaturen. Jetzt informieren! …
- … Grunddienstbarkeit, Kanalleitungsrecht, Nachbarrecht, Kanalnutzung, Stichkanal, Hausanschluss, Reparaturkosten, NRW …
- … Grundstücksrecht, Nachbarrecht, Kanalisation …
- … Kanalnutzung mit Nachbarn: Rechte, Pflichten & Kosten bei Grunddienstbarkeit? …
- … ich brauche dringend Hilfe. Wir haben ein Grundstück in NRW gekauft auf dem ein privater Kanal zweier Nachbarn verläuft. Im Grundbuch ist folgendes zu lesen: Grunddienstbarkeit …
- … - Kanalleitungsrecht - für den jeweiligen Eigentümer des Grundstückes (Nachbar A) und Grundstück (Nachbar B) zurzeit eingetragen in Blatt XXX. Bezug: Bewilligung vom 6. Januar 2004. Eingetragen am 9. Januar 2004. …
- … Die Bewilligung haben wir NIE gesehen. Zum Kanal: Der Hauptkanal geht 30 Meter über unser Grundstück …
- … zu den Nachbarn gehen. Laut Entwässerungsamt können wir mit an diesen Kanal anschließen (bezogen auf die Kapazität), was wir auch gerne machen würden. …
- … 1. Können uns die Nachbarn überhaupt verbieten an den Hauptkanal anzuschließen? …
- … schriftlichen Vertrag mit den Nachbarn machen. Jeder soll für seinen Stichkanal (Hausanschluss) selber verantwortlich sein - da diese Stichkanäle aber bis auf …
- … Bei Arbeiten am Hauptkanal sollen die anfallenden Kosten samt Widerherstellung unseres Grundstückes durch uns alle …
- … Ich verstehe, dass Sie als neuer Grundstückseigentümer Klarheit bezüglich der Kanalnutzung durch Ihre Nachbarn benötigen. Da im Grundbuch eine Grunddienstbarkeit ( …
- … Kanalleitungsrecht) eingetragen ist, haben die Nachbarn A und B grundsätzlich das …
- … Recht, den Kanal auf Ihrem Grundstück zu nutzen. …
- … Umfang der Grunddienstbarkeit: Die genaue Ausgestaltung des Kanalleitungsrechts (z.B. Art und Umfang der Nutzung, Wartungspflichten) sollte idealerweise …
- … Sie, wie die Kosten für Reparaturen, Wartung und Instandhaltung des Hauptkanals und der Stichkanäle aufgeteilt werden. Eine vertragliche Regelung mit den Nachbarn …
- … Sie klare Regelungen zur Wiederherstellung Ihres Grundstücks nach eventuellen Arbeiten am Kanal (z.B. Pflasterung). …
- … Kanalleitungsrecht …
- … Eine spezielle Form der Grunddienstbarkeit, die dem Berechtigten das Recht einräumt, auf dem Grundstück eines anderen eine Leitung (hier: Kanal) zu verlegen und zu betreiben. Es umfasst in der …
- … Stichkanal …
- … Ein Abzweig von einem Hauptkanal, der dazu dient, einzelne …
- … Gebäude oder Grundstücke an das Kanalnetz anzuschließen. Die Stichkanäle leiten das Abwasser von den angeschlossenen Objekten in den Hauptkanal. Verwandte Begriffe: Hausanschlussleitung, Abwasserleitung, Zuleitung. …
- … durch häuslichen, gewerblichen oder industriellen Gebrauch verunreinigte Wasser, das über die Kanalisation abgeleitet wird. Die Beseitigung von Abwasser ist eine wichtige Aufgabe …
- … in bestimmter Weise zu nutzen (hier: zur Verlegung und Nutzung eines Kanals). …
- … müssen die Nutzung des Kanals durch die Nachbarn dulden, dürfen diese aber nicht unzumutbar beeinträchtigen. Sie haben Anspruch auf Wiederherstellung Ihres Grundstücks nach Arbeiten am Kanal. …
- … Wie werden die Kosten für Reparaturen am Kanal aufgeteilt …
- … Kann ich meinen Hausanschluss an den bestehenden Kanal anschließen?Das hängt von den Bedingungen der Grunddienstbarkeit und einer eventuellen …
- … Was passiert, wenn der Kanal verstopft oder beschädigt wird?Die Verantwortlichkeit für die Beseitigung von Verstopfungen …
- … oder Schäden am Kanal richtet sich nach den Vereinbarungen in der Grunddienstbarkeit oder einer separaten Vereinbarung. …
- … Was ist, wenn die Kapazität des Kanals für alle Anschlüsse nicht ausreicht?Hier sollte man sich …
- … in Verbindung setzen und die Kapazität prüfen lassen. Gegebenenfalls muss der Kanal ausgebaut werden, wobei die Kostenfrage im Vorfeld geklärt werden muss. …
- … und Bedingungen für den Anschluss weiterer Nutzer an bestehende Leitungen (z.B. Kanal, Wasserleitung). …
- … Grunddienstbarkeit: Grundbuchauszug vor Grundstückskauf prüfen! …
- … den Nachbarn keinen Stress zu bekommen würde ich mir einen eigenen Kanal ziehen. Es kommt der Tag, wo es Ärger mit dem Kanal …
- … Kanalnutzung: Reparaturkosten klar regeln! – Vertrag oder eigener Kanal …
- … Daher Ratschlag, eigenen Kanal (den dürfen Sie auf dem Grundstück selber machen ), auch wenn …
- … Kanalnutzung durch Grunddienstbarkeit: Rechte, Pflichten & Kosten …
- … 💡 Kernaussagen: Bei Kanalnutzung durch Grunddienstbarkeit sind die Rechte und Pflichten der Nachbarn …
- … Blick ins Grundbuch vor dem Kauf ist unerlässlich, um Belastungen wie Kanalleitungsrechte zu erkennen. Klare Vereinbarungen bezüglich der Reparaturkosten sind unerlässlich, um …
- … zukünftige Konflikte zu vermeiden. Alternativ kann ein eigener Kanal in Betracht gezogen werden. …
- … ⚠️ Wichtiger Hinweis: Vor dem Grundstückskauf sollte unbedingt der Grundbuchauszug geprüft werden, um bestehende Grunddienstbarkeiten wie …
- … Kanalleitungsrechte zu erkennen, wie im Beitrag Grunddienstbarkeit: Grundbuchauszug vor Grundstückskauf prüfen …
- … 💰 Zusatzinfo: Die Kosten für Reparaturen an der Kanalleitung können zu Streitigkeiten führen, insbesondere wenn keine klaren Vereinbarungen getroffen wurden. Der Beitrag Kanalnutzung: Reparaturkosten klar regeln! – Vertrag oder eigener Kanal rät zu …
- … einem schriftlichen Vertrag oder einem eigenen Kanal, um diese Probleme zu vermeiden. …
- … 👉 Handlungsempfehlung: Klären Sie vor dem Kauf eines Grundstücks mit Grunddienstbarkeit alle Details zur Kanalnutzung und Reparaturkosten. Ziehen Sie einen eigenen Kanal als Alternative …
- … Vertrag mit den Nachbarn ab. Beachten Sie die Hinweise im Beitrag Kanalnutzung: Reparaturkosten klar regeln! – Vertrag oder eigener Kanal. …
- BAU-Forum - Neubau - Kellerfund auf Baugrundstück: Kosten, Auffüllung & Risiken beim Hausbau?
- … Ist es wirklich nötig, den kompletten Keller (offenbar bis 3 m Tiefe) abzutragen? Ist 13,70 /Kubik Füllkies ein realistischer Preis? Gäbe es vielleicht …
- … z.B. der Bau von Kellern, Kanälen und Straßen.Verwandte Begriffe: Erdbau, Straßenbau, Kanalbau. …
- … Grundstückskauf: Kellerfund – Was sagt der Verkäufer? …
- … Der Gutachter hat allerdings als Boden Tonaue vorgefunden, was bedeutet: entweder auf 1,5 m ausschachten und mit Füllkies verfüllen oder Streifenfundamente bis auf 2 m Tiefe. Die zweite Lösung ist die für uns billigere - …
- … von Haacke geraten ... Unsere Nachbarn haben übrigens auch mit den tiefer gegründeten Streifenfundamenten gebaut - geht doch! …
- BAU-Forum - Bauplanung / Baugenehmigung - Bodengutachten NRW: Gültigkeit, Kosten & Notwendigkeit bei Hausbau prüfen?
- … Bodengutachten, NRW, Gültigkeit, Hausbau, Bodenanalyse, Deklarationsanalyse, Tiefenbauer, Grundstück, Kosten …
- … Bodengutachten, Hausbau, Grundstückskauf, NRW …
- … wir sind gerade dabei in NRW / Essen ein Grundstück mit einem Tiefenbauer für den Hausbau vorzubereiten. …
- … Nun hat sich der Tiefenbauer …
- … Tiefenbauer …
- BAU-Forum - Bauplanung / Baugenehmigung - 14621: Grundstückskauf: Kanal-Tiefe prüfen – Bebaubarkeit, Anschluss & Kosten vorab klären?
- … Kanal-Tiefe vor Grundstückskauf prüfen …
- … Kanal-Tiefe vor Grundstückskauf prüfen: Bebaubarkeit sicherstellen, Anschluss klären & …
- … Grundstückskauf, Kanal-Tiefe, Bebaubarkeit, Abwasserkanal, Anschlusskosten, Baurecht, Lageplan …
- … Grundstück, Kanalisation, Baurecht …
- … Grundstückskauf: …
- … Kanal-Tiefe prüfen – Bebaubarkeit, Anschluss & Kosten vorab klären? …
- … ich dies tue, wäre mir wichtig zu wissen, ob der Abwasserkanal überhaupt tief genug ist, damit ich mein Vorhaben realisieren kann. …
- … habe ich von den Wasserwerken einen Lageplan bekommen, auf dem der Kanal eingezeichnet wurde. Leider kann ich als Laie aber damit wenig anfangen. …
- … Als Laie dachte ich mir schon, dass der Kanal an der Stelle ca. 3,5 m tief liegt? Ist dem tatsächlich …
- … Ihnen, vor dem Kauf eines Grundstücks folgende Punkte bezüglich des Abwasserkanals zu prüfen: …
- … Kanal-Tiefe: Die Tiefe des Kanals …
- … ist entscheidend für die Bebaubarkeit. Ist der Kanal zu tief oder zu hoch, kann dies den Bau eines Kellers erschweren oder unmöglich machen. …
- … Anschlusspunkt: Klären Sie die genaue Lage des Anschlusspunktes zum öffentlichen Kanal. Dies beeinflusst die Planung der Entwässerungsleitungen auf Ihrem Grundstück. …
- … Kanalanschlussgebühren: Informieren Sie sich bei den zuständigen Wasserwerken oder der Gemeinde …
- … über die Höhe der Kanalanschlussgebühren. Diese können je nach Lage und Größe des Grundstücks variieren. …
- … Lageplan: Ein aktueller Lageplan des Grundstücks mit eingezeichnetem Kanalverlauf ist unerlässlich. Diesen erhalten Sie in der Regel beim …
- … Abwasserkanal …
- … Ein Abwasserkanal ist ein unterirdisches Rohrsystem, das Schmutz- und Regenwasser von Grundstücken zu Kläranlagen transportiert. Er ist ein wichtiger Bestandteil der öffentlichen Entwässerungsinfrastruktur. Verwandte Begriffe: Kanalisation, Kläranlage, Regenwasserkanal. …
- … Kanalanschlussgebühren …
- … Kanalanschlussgebühren sind einmalige Kosten, die für den Anschluss eines Grundstücks …
- … der Inspektion, Reinigung und Wartung der Leitungen. Verwandte Begriffe: Kontrollschacht, Inspektionsschacht, Kanalschacht. …
- … Warum ist die Tiefe des Kanals vor dem Grundstückskauf wichtig? …
- … Die Tiefe des Kanal …
- … Woher bekomme ich Informationen über die Kanal-Tiefe? …
- … Informationen zur Kanal-Tiefe erhalten Sie beim zuständigen Tiefbauamt, …
- … Was sind Kanalanschlussgebühren? …
- … Kanalanschlussgebühren sind einmalige Kosten, die für den Anschluss eines …
- … Ein Revisionsschacht ist ein Kontrollschacht, der den Zugang zum Abwasserkanal ermöglicht. Er dient zur Inspektion, Reinigung und Wartung des Kanalsystems. …
- … Was passiert, wenn der Kanal zu hoch liegt? …
- … Wenn der Kanal zu hoch liegt, kann es …
- … zu Problemen mit dem natürlichen Gefälle der Abwasserleitungen vom Haus zum Kanal kommen. Dies kann den Einbau von Hebeanlagen erforderlich machen, um das …
- … Abwasser in den Kanal zu pumpen. …
- … Kann ich den Kanalanschluss selbst herstellen? …
- … Nein, der Kanalanschluss muss in der Regel von einem zugelassenen Fachbetrieb durchgeführt …
- … relevanten Details wie Grundstücksgrenzen, Gebäude, Zuwegungen und dem Verlauf des Abwasserkanals. Sie erhalten ihn beim Katasteramt. …
- … Dies wird durch den Bebauungsplan und andere baurechtliche Vorschriften geregelt. Die Kanal-Tiefe kann ein Faktor sein, der die Bebaubarkeit beeinflusst. …
- … vor Grundstückskauf …
- … Kanalanschluss selbst verlegen – was ist erlaubt? …
- … am Kanalanschluss selbst durchgeführt werden dürfen. …
- … Grundstückskauf: Checkliste für Käufer …
- … Finanzierung des Kanalanschlusses …
- … Informationen über Fördermöglichkeiten und Finanzierungsoptionen für den Kanalanschluss. …
- … Kanal-Tiefe: Rohrsohle vor Grundstück – Höhen-Interpolation …
- … Wenn man die Höhenangaben interpoliert, liegt die Rohrsohle des Straßenkanals im Bereich mittig vor Ihrem Grundstück 2,76 m tiefer als die Straße. In der Straße liegt ein Rohr …
- … Kellerplanung: Kanalanschluss für Toilette/Dusche zu tief? …
- … Geländeroberkante (bei angenommenem waagerechten Verlauf zur Straße) nicht mehr in den Kanal fließen kann? …
- … Grundstückskauf: Grundinformationen zur Kanal-Tiefe …
- … Darf ich noch fragen, wie bestimmt haben, dass die Rohrsohle des Kanals 2,76 m tiefer als die Straße liegt? Kann man das …
- … Kanal-Tiefe: Berechnung aus Schachtdeckel- und Sohlenhöhe …
- … Haltung meint den Kanalabschnitt zwischen den Schächten. …
- … Für den Fall, dass Ihr Kanalanschluss …
- … Planungsreihenfolge: Grundstückskauf abhängig von Kellerentwässerung? …
- … Grundstücksbewertung: Lage, Baurecht, Preis vs. Kanalanschluss …
- … Kriterien sind. Entscheidender sind doch Lage, bauplanungsrechtliche Möglichkeiten, Preis, Baugrundbeschaffenheit. Der Kanalanschluss wird sich schon lösen lassen. …
- … nicht im Forum. Dies sind hier nur Abschätzungen. Sie müssten die Kanal- und Geländegefälle aufmessen lassen und einen Längsschnitt zeichnen lassen, um zu …
- … Ihnen ein Sachvereständiger beantworten. Ein Sachverständiger, der Fragen zur Bebaubarkeit, dem Kanalanschluss uvm. klären kann, ist ein Bauvorlageberechtigter Architekt oder Ingenieur. So …
- … Das bringt Ihnen denke ich mehr, als sich als Laie mit Kanalplänen der Stadt rumzuschlagen. Viel Erfolg …
- … Also wird das Abwasser ab EGAbk. in den Kanal geleitet. …
- … Also wird das Abwasser ab EGAbk. in den Kanal geleitet …
- … natürlich entwässert werden. Also wird das Abwasser ab EGAbk. in den Kanal geleitet war falsch. …
- … ganz anderes als niemals und Abwasser wird ab EGAbk. in den Kanal geleitet . Deshalb bitte genauer formulieren. …
- … Also wird das Abwasser ab EGAbk. in den Kanal geleitet. …
- … Grundstückskauf: Kanal-Tiefe, Bebaubarkeit & Anschluss – Expertenrat …
- … Grundstückskauf sollte die Kanal-Tiefe geprüft werden, um die Bebaubarkeit sicherzustellen. …
- … 📊 Fakten/Zahlen: Im Beitrag Kanal-Tiefe: Rohrsohle vor Grundstück – Höhen-Interpolation wird die Berechnung der Kanal …
- … -Tiefe anhand von Höhenangaben und Gefälle erläutert, um eine erste Einschätzung …
- … der Situation zu ermöglichen. Die genaue Tiefe kann jedoch nur durch ein Nivellement bestimmt werden. …
- … 👉 Handlungsempfehlung: Es wird empfohlen, vor dem Grundstückskauf einen Bauvorlageberechtigten Architekten oder Ingenieur zu konsultieren (siehe Expertenrat: Architekt …
- … Ingenieur statt Baugrundgutachter zuerst), um die Bebaubarkeit, den Kanalanschluss und andere wichtige Aspekte zu klären. Zudem sollte man Erkundigungen …
Interne Suche verfeinern: Weitere Suchbegriffe eingeben und mehr zu "Grundstückskauf, Kanal-Tiefe" finden
Geben Sie eigene Suchbegriffe ein, um die interne Suche zu verfeinern und noch mehr passende Fundstellen zu "Grundstückskauf, Kanal-Tiefe" oder verwandten Themen zu finden.
Interne Suche: Suchbegriffe eingeben und mehr zu "Grundstückskauf, Kanal-Tiefe" finden
Geben Sie Suchbegriffe ein, um die interne Suche zu nutzen und passende Fundstellen zu "Grundstückskauf, Kanal-Tiefe" oder verwandten Themen zu finden.
Externe Fundstellen und weiterführende Recherchen
Nachfolgende Suchlinks können Ihnen dabei helfen, ähnliche Fragestellungen zu erkunden:
Suche nach: Grundstückskauf: Kanal-Tiefe prüfen – Bebaubarkeit, Anschluss & Kosten vorab klären?
Google
Bing
AOL
DuckDuckGo
Ecosia
Qwant
Startpage
Yahoo!
Suche nach: Kanal-Tiefe vor Grundstückskauf prüfen
Google
Bing
AOL
DuckDuckGo
Ecosia
Qwant
Startpage
Yahoo!
Suche nach: Grundstückskauf, Kanal-Tiefe, Bebaubarkeit, Abwasserkanal, Anschlusskosten, Baurecht, Lageplan
Google
Bing
AOL
DuckDuckGo
Ecosia
Qwant
Startpage
Yahoo!
